Mike’s Blog: Meteorologists warn that 5G could be major setback to hurricane forecasting
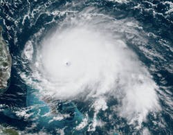
The only reason that the death toll isn’t significantly higher is because of accurate weather forecasting, which today can provide accurate hurricane path predictions as early as 10 days in advance. The current adage in meteorology is that today’s 10-day weather forecast is as accurate as the seven-day used to be, which is as accurate as the five-day used to be in the 1990s, which is accurate as the three-day used to be in the 1980s. Those crucial extra forecast days gained over the years has allowed local governments to issue evacuations at least several days before hurricanes impact an area, and gives local services time to prepare for damaging impacts and the aftermath following the storm.
But according to many people involved with this forecasting, the onset of 5G technology could ruin that decades-long progress. This past May, the acting chief of the National Oceanic and Atmospheric Administration (NOAA), Neil Jacobs, testified on Capitol Hill that the interference from 5G wireless technology could reduce the accuracy of weather forecasting by as much as 30%. Jacobs told the House Subcommittee on the Environment that such a setback would result in coastal residence having at least two or three less days to prepare for a hurricane and could lead to less accurate predictions on the path of hurricanes and where they will make landfall, endangering lives by doing so. Jacobs said that’d set hurricane forecasts back to where they were in 1980.
"This is a huge concern because we fear that advances in weather forecasting are at risk," Marshall Shepherd, Director of the University of Georgia's Atmospheric Sciences Program, told CBS News in late May. “The data is essential. Ninety percent of data going into forecast models these days comes from weather satellites. If you remove a good portion of that satellite data, you're crippling our ability to make accurate weather forecasts."
NOAA and NASA had been warning about this problem for months even before Jacobs' testimony.
"The concern is that if you miss one of the water vapor signals at seven days out, you might not see that a hurricane is intensifying,” CBS News weather producer David Parkinson explained May 22. “You might not see that there are certain things going on in the atmosphere that are going to steer a storm in one particular direction.”
Shephard noted that if 5G were in place during 2012’s Hurricane Sandy—which caused nearly $70 billion in damage and 285 fatalities—and the expected spectrum interference occurred, meteorologists may have only known three days out that the storm would make a hard left into New York and New Jersey, rather than the nine-day heads-up they actually had back then.
Water vapor emits a faint 23.8 GHz signal in the earth’s atmosphere, which satellites monitor to collect data that is then fed into weather prediction models. That gives meteorologists no flexibility to use a different frequency.
"We can’t move away from 23.8 or we would,” Jordan Gerth, a research meteorologist at the Universifty of Wisconsin-Madison told WIRED in May. “As far as 5G is concerned, the administration has a priority to put 5G on the spectrum, and they thought this was an OK place to do it. It's just close to where we are sensing the weather.”
Gerth and Jacobs said that reducing the power emitted by 5G wireless radios could help prevent some of spectrum-water vapor interference. NOAA and NASA want to limit interference noise to closer to that considered acceptable by the European Union and World Meteorological Organization. At its current FCC proposal, Jacobs said 5G interference would result in a 77% loss in data from NOAA satellite sensors.
CBS News This Morning reported May 31 that the FCC declined an on-camera interview, but that a group representing the wireless industry called the meteorologists' concerns an "absurd claim with no science,” adding that the weather sensor currently deployed is "much less susceptible to interference" than meteorologists claim.
Jacobs said experts from the FCC and NOAA are working on a solution, and that he was optimistic one would be found.
But even if a compromise is met between the meteorological community and the FCC over the 23.8 GHz frequency used to track water vapor, it won’t be the last clash between those two sides. Down the road, the FCC plans to action off 5G radio frequency bands close to that used to detect rain and snow (36-37 GHz), atmospheric temperature (50.2-50.4 GHz), and clouds and ice (80-90 GHz). So, expect to hear similar news about these issues going forward.
About the Author



